Welcome to Typhoon Alley
Sailing in Japan during typhoon season
After a glorious few weeks sailing Shikoku, I arrived in Oita on the Island of Kyushu. The passage from Mikame to Oita was about 40 nautical miles.
Mostly uneventful, except for the strong cross currents off the cape. Wahine was tossed about a bit, and we dropped from seven knots to four knots, and we had to motorsail for time. Eventually, I dropped the sail and entered Marinpia Musashi Marina where Wahine and I will be based for a few weeks doing boat projects and preparing for the next JCI Inspection.
Wahine is now waiting for her next JCI inspection (slated for August 26th) and I have left her for a few days to travel north to have my second Pfizer jab. The Marina is right beside Oita Airport and I was able to fly to Tokyo for just over $50 USD.
Just before I left Wahine, for these few days, I was asked to move her mooring to a safer place in case of a typhoon. I heeded this advice and was reminded that we are now entering typhoon season in Japan and that these parts of Japan are in what's considered Typhoon Alley*.
*Officially speaking, Typhoon Alley refers to Okinawa and the Ryukyu Islands, but try telling that to the parts of Kyushu and Shikoku who are battered frequently!
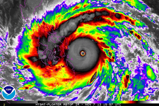
Hence, typhoons are on my mind
So, for those interested, here are some important things to know about Japan during typhoon season.
There are three lists. The first is seven things I have learned about Typhoons since moving to Japan. The second list is four reflections having stayed on Wahine at dock for SuperTyphoon #19 in 2019. We took a direct hit and I wanted to experience it on the boat albeit at dock. And the third list is four things that Kirk Patterson of Konpira Consulting (and a cruising-in-Japan specialist) advises cruisers to do in preparing for a Typhoon.
Seven things I have learned about Typhoons since moving to Japan
- Tropical cyclones are called typhoons in the Pacific and hurricanes in the Atlantic.
- On average, 26 typhoons form each year, usually between May and October with August and September being the highest risk.
- About a dozen typhoons each year make land fall in Japan. Most of these are in Okinawa, Kyushu and Shikoku but occasionally Honshu too and as far north as Hokkaido.
- Most of the news focuses on the rainfall and resulting landslides. For those on the water, we are concerned with wind strength, wave size and frequency and storm surge
- Occasionally they reach super typhoon status which is essentially higher winds and a broader area.
- Typhoons and hurricanes are named by the World Meteorological Organization's Tropical Cyclone Program. But some countries such as the Philippines prefer their own names such as Yolanda (otherwise known as Haiyan) in 2013. Japan prefers to use a number system.
- In Japan there are refuge harbors where boats can make a hasty escape. One such is Aburatsubo (see still image) where I have visited more than once.
Hagibus #19
Up until 2019 I only experienced typhoons on land in Japan but twice within three months of moving on board Wahine I experienced a typhoon while on board Wahine at dock
The most intense was Super typhoon Hagibus #19 . It was a direct hit on Tokyo on the marina. It gave me an opportunity to experience the wind and boat behavior.
- When in a storm, one's world shrinks in time and space and you gain an extraordinary focus and attention on detail.
- Risk has to do with proximity . . a few hundred meters can make all the difference.
- You learn things: in my case I mastered the bowline knot during the storm.
- You don't regret any investment you have made in making your boat safe.
- Blue skies follow and the adventure continues.
Bonus: Kirk's Tips
- Carry at least four heavy lines at least 30 meters long…and another four lighter lines of 50+ meters…to put the boat in a spider web with fore, aft, port, sbd lines;
- Have a large kedge anchor (Fortress is best) on about 50m of rode (incl 5m of chain) to put off the stern or side (depending on position and wind forecast);
- Remove jib, dodger, and all loose items…also remove main if it’s not in a bag (if in a bag, wrap line around it, spiral along the length of the boom),
- Seek safe harbor long before the typhoon arrives because the good spots fill up 2-3 days in advance (and note that many marinas won’t allow visitors to arrive just before a typhoon…and that many of the best spots are actually reserved for use by certain boats during a typhoon).
Pacific Solo is really a misnomer. I have only gotten this far because of the community that has formed around the Pacific Solo idea. I am humbled, not only by the sea but, by the generosity and love of others.
Below are the various ways you can support Pacific Solo, both financially and just good ol' moral support.













